小笠原・父島体験(5)宮之浜ビーチでシュノーケリング【PR】
父島2日目は、レンタルした125㏄の原付で島一周ツーリングすることに。いや一周というのは間違いか。
父島は、恐竜のような形をした島。
南半分は道路はなく、父島循環線こと都道240号でまわれるのは島の北部だけだ。
まず向かったのは集落からも近い宮之浜。
リーフレットには「サンゴ礁が発達し、熱帯魚も多いため、シュノーケリングに最適」とあり、「海辺であそぼう!海散歩まっぷ」を見ても、宮之浜とコぺぺ海岸が、のんびり海水浴にもシュノーケリングにも「◎」となっていた。
ここで初めて実物を見たのがこれ。
外来種のトカゲ「グリーンアノール」を駆除するための粘着トラップだ。かわいそうに、別の種のトカゲがかかってしまっていたが。
ちなみに今は悪役になってしまったグリーンアノールも、固有種の保護が叫ばれる以前は父島の観光のシンボルのひとつになっていたほど愛されていた存在で、お土産にステッカーなども売られていたそう。
ツーリング途中に一度見かけたが、確かに色もきれいだし、動いている姿もかわいい。
宮之浜は、静かな入り江で、トイレやウッドデッキも整備され、海もきれい。朝早くに到着したため、サーファーが1人いるだけだったが、泳いでいるうちに次々人がやってきて、シュノーケリングを始めた。
私も早速。
ただこの日は、南方で発生した台風の影響もあり波がかなりでており、入り江の中も透明度が落ちていた。
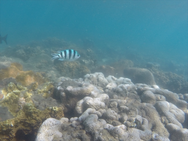
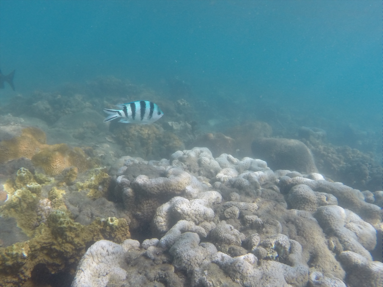
なので見通しは今一つだったが、浅いところにも熱帯魚がたくさん。
そして色とりどりの珊瑚も。
砂浜からすぐの浅瀬で十分楽しめるので、シュノーケリング初めてという人でも安心だろう。
うねりがなければ透明度ももっと高かっただろうと思う。
宮之浜以外でシュノーケリングにおススメの場所は釣浜、製氷海岸、コぺぺ海岸だが、アクセスもしやすく珊瑚や熱帯魚もたっぷり楽しめるのはここだと思う。
午後は父島東側のビーチも訪れた。
小港海岸は、車で行けるビーチの中では最南端(さらに南にもあるが自然遊歩道経由でかなり歩く必要がある)。
ここのバス停は東京都最南端。
人もわずかしかおらず静か。
屋根付きの休憩スペースで、買ってきたホットケーキで簡単ランチ。
ボートツアーか何かでここに立ち寄っている人たちもいて、少し沖合ではボート周辺でシュノーケリングしている人たちもいた。
こちらはコぺぺ海岸。
小港海岸と隣接しており、シュノーケリングで行き来も可能。
舗装されていない道を進んだところにあるのは・・・
ごろごろと石が転がる洲崎海岸。
戦争中埋め立てを行い空港の滑走路を作ろうとした場所だそう。現在の小笠原空港計画でも候補地としてあがっているそうだが、行ってみてちょっとびっくり。一体このどこに滑走路をつくるのだろうという決して広くはないスペース。
今は磯釣りスポットとして人気らしい。
こちらは扇浦海岸。
海の色も美しい。
シャワールームもあるのは、ここと大村海岸だけだ。
東京都の観光PR事業の一環として、2016年9月27日から10月2日までの日程で、小笠原父島・母島を訪れています(現地滞在は3泊4日/東京都多摩・島しょ魅力発信事業からの招待)。詳細は公式サイト「tokyoreporter島旅&山旅」にて。






















